
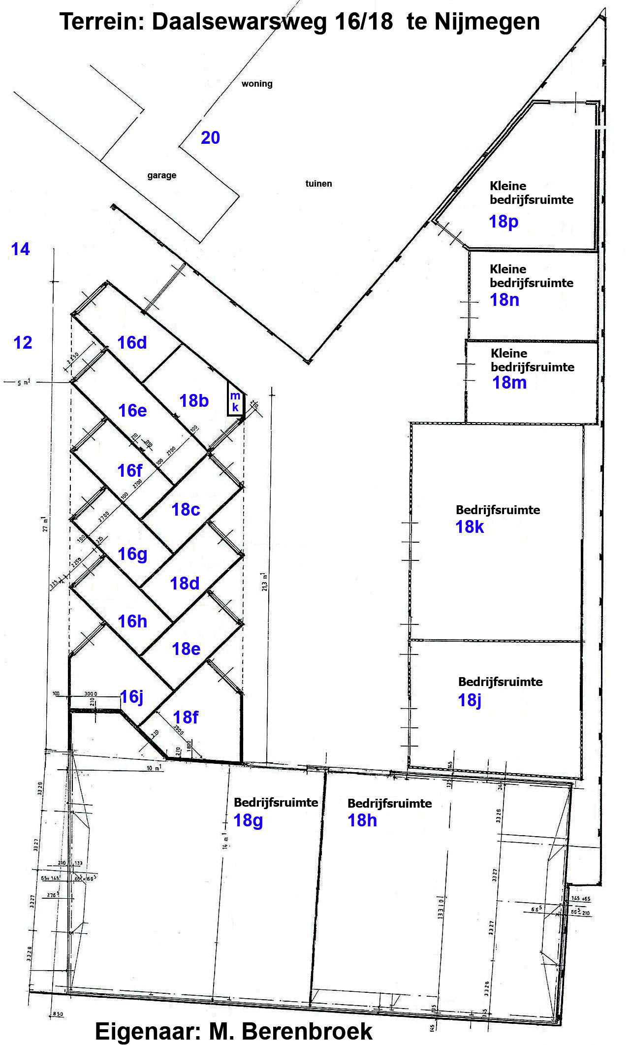
Ruimten Daalsedwarsweg 6521 EG te Nijmegen
Details ruimte, klik op HUISNUMMER

| Soort | Huisnummer | Oppervlak |
| Bedrijfsruimte | 18 G | 200 |
| Bedrijfsruimte | 18 H | 195 |
| Bedrijfsruimte | 18 K | 112 |
| Bedrijfsruimte | 18 J | 80 |
| Kleine bedrijfsruimte | 18 M | 38 |
| Kleine bedrijfsruimte | 18 N | 38 |
| Kleine bedrijfsruimte | 18 P | 51 |
| Opslag/garagebox | 16 D | 16 |
| Opslag/garagebox | 16 E | 22 |
| Opslag/garagebox | 16 F | 15 |
| Opslag/garagebox | 16 G | 15 |
| Opslag/garagebox | 16 H | 15 |
| Opslag/garagebox | 16 J | 20 |
| Opslag/garagebox | 18 B | 18 |
| Opslag/garagebox | 18 C | 15 |
| Opslag/garagebox | 18 D | 15 |
| Opslag/garagebox | 18 E | 15 |
| Opslag/garagebox | 18 F | 17 |
